






















De vanzare lot 450mp in Bragadiru-Cartier EMINESCU(toate utilitatile)
Bragadiru
200€/mp
- ID:P213
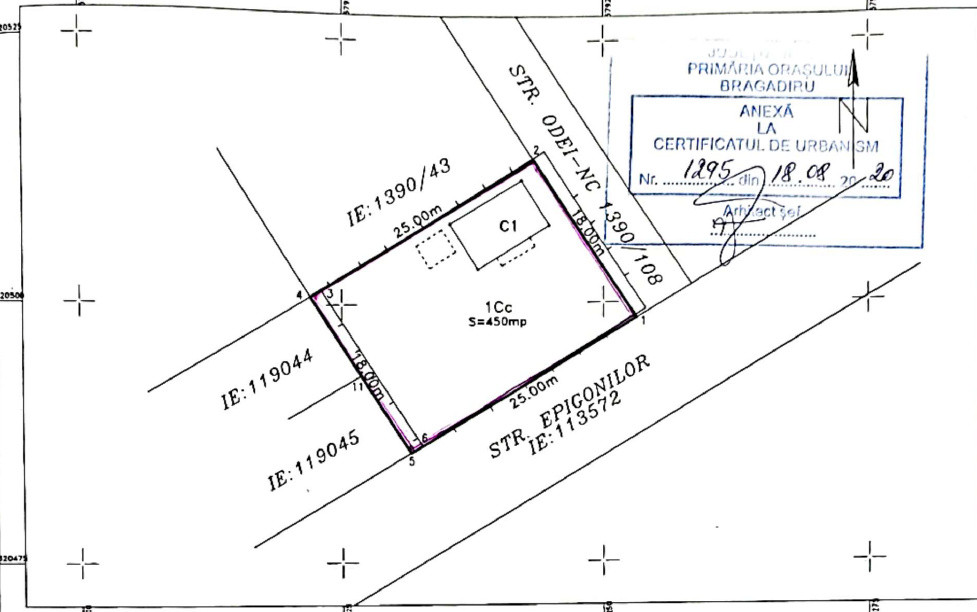
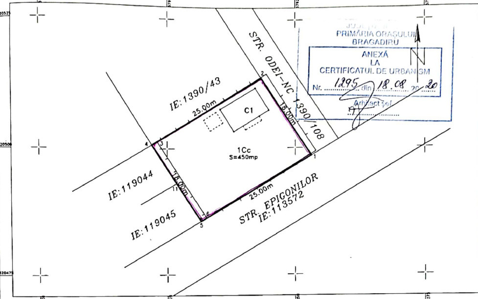
- S. teren:450.00 mp
- Front stradal:26.00 m
- Nr. fronturi:2
- Clasificare teren:Intravilan
- Regim inaltime:P+2+M
Descriere
Ofertă foarte bună – lot pentru casă în Bragadiru in cartierul Eminescu
Vă propunem spre vânzare un teren excelent poziționat în cartierul Eminescu, un minicartier foarte liniștit, cu străzi asfaltate și case frumoase, situat imediat după Centura Bucureștiului, cu acces rapid către Bucuresti.
🔹 Suprafață teren: 450 mp
🔹 Dimensiuni: 18 ml x 26 ml
🔹 Deschidere: la 2 străzi
🔹 Utilități la poartă: apă, canalizare, gaz, curent electric
Accesul auto este foarte facil, cu ieșire rapidă către Șoseaua Alexandriei, direcția București. Pentru cei care utilizează transportul în comun, stația de autobuz se află la doar 550 m de proprietate.
În prezent, pe teren există o casă din lemn, închiriată. Aceasta poate reprezenta un avantaj pentru cumpărătorii care doresc să construiască ulterior, având posibilitatea de a păstra chiriașii până la începerea noii construcții.
📐 Parametri urbanistici foarte buni, pe teren se poate construi o casa mare sau un duplex.
POT: 35%
CUT: 1.4
Regim de înălțime: P+2E+M
Hmax: 10 m
Pentru mai multe detalii sau pentru programarea unei vizionări, nu ezitați să mă contactați. Vă aștept cu drag!
Vă propunem spre vânzare un teren excelent poziționat în cartierul Eminescu, un minicartier foarte liniștit, cu străzi asfaltate și case frumoase, situat imediat după Centura Bucureștiului, cu acces rapid către Bucuresti.
🔹 Suprafață teren: 450 mp
🔹 Dimensiuni: 18 ml x 26 ml
🔹 Deschidere: la 2 străzi
🔹 Utilități la poartă: apă, canalizare, gaz, curent electric
Accesul auto este foarte facil, cu ieșire rapidă către Șoseaua Alexandriei, direcția București. Pentru cei care utilizează transportul în comun, stația de autobuz se află la doar 550 m de proprietate.
În prezent, pe teren există o casă din lemn, închiriată. Aceasta poate reprezenta un avantaj pentru cumpărătorii care doresc să construiască ulterior, având posibilitatea de a păstra chiriașii până la începerea noii construcții.
📐 Parametri urbanistici foarte buni, pe teren se poate construi o casa mare sau un duplex.
POT: 35%
CUT: 1.4
Regim de înălțime: P+2E+M
Hmax: 10 m
Pentru mai multe detalii sau pentru programarea unei vizionări, nu ezitați să mă contactați. Vă aștept cu drag!
Specificatii
Curent
Apa
Canalizare
Gaz
Acces internet
Fibra optica
Utilitati in zona
Dragos Enachioaie
0771208924
Esti interesat de aceasta proprietate ?